
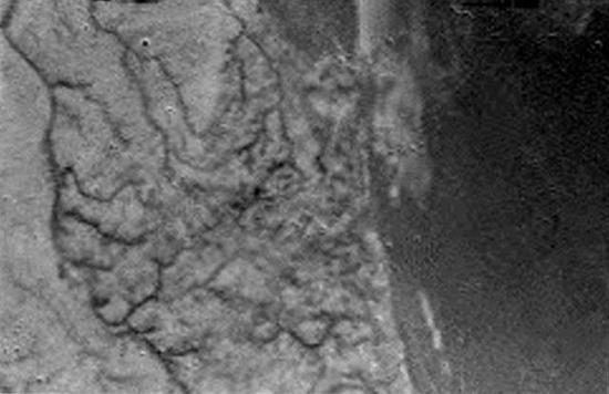
惠更斯号拍摄的土卫六表面(左)与地球上干涸的河道(右)非常相似。
腾讯太空经过两个半小时的降落,一个金属制成的碟形探测器成功登陆在一片暗黑色的平原上。登陆点非常寒冷,温度接近零下两百摄氏度,周围遍布水冰形成的“鹅卵石”。降落后,这颗外星探测器疯狂地工作着,收集登陆点周围的数据与图像发回轨道上的母船,因为再过数分钟,母船的飞行轨道就要运行到登陆点地平线以下,在那之后,这颗外星探测器将与母船切断联系,并永远沉默。
虽然这似乎是科幻小说里的内容,但这一场景却真实地发生在十二年前、土星最大的卫星土卫六上,而制造这颗外星探测器的正是我们人类。2005年1月14日,欧洲空间局研制的惠更斯号成功在土卫六表面着陆,这也是迄今人类探测器登陆过的最遥远的星球。
外观呈碟形的惠更斯号探测器并不大,直径1.3米,重319公斤。1997年10月15日,惠更斯号与母船卡西尼号在美国肯尼迪航天中心发射升空,在抵达土星前,它们曾两次飞掠金星,随后飞掠月球与地球,并在2000年造访木星,最终在2004年7月1日进入土星轨道。2004年12月24日,惠更斯号与卡西尼号分离,独自飞行20天后,降落在目的地--土卫六表面。
在进入土卫六大气后,惠更斯号先依靠直径2.7米的防热盾减速,随后抛弃防热盾打开降落伞下降,并在缓慢降落中对土卫六稠密、充满雾霾的大气进行了采样,分析大气中的复杂有机物,测量了风速。在下降过程中,惠更斯号拍摄了数百张图像,向我们展现了土卫六表面明亮、崎岖的高地,这些高地被一些暗黑色河道横切,形成陡峭的峡谷。
惠更斯号的无线链路在降落初期被激活,卡西尼号在惠更斯号开始降落的三个小时一直“收听”其发回的讯息。在三个小时的沟通窗口结束后,卡西尼号的高增益天线转离面向土卫六的方向,并指向地球。

惠更斯号降落前在16千米高空拍摄的土卫六表面,可以看到蜿蜒的“河道”。左边亮色区域为高地,右边暗色区域为平原,中间交接区域可能是曾经的海岸线。
在进入土卫六大气两个半小时后,北京时间2005年1月14日晚20时43分,惠更斯号降落在一片黑暗、充满颗粒物的陆地上,这与地球上干涸的湖床非常相似。惠更斯号着陆时的撞击速度与地球上一只球从1米高落下的速度相当,撞击形成了12厘米深的凹坑,惠更斯号在撞击后弹起,并在土卫六表面滑行了约40厘米的距离。
着陆过程中,探测器扬起了尘埃,这些尘埃很有可能来自土卫六降雨形成的有机气溶胶,它们在空中悬浮了约四秒的时间。

土卫六全球图,红圈处为惠更斯号着陆区域。
惠更斯号的精确着陆区域为土卫六南纬10.2度,西经192.4度,靠近赤道。着陆时当地温度为零下179.35摄氏度,气压1.4676巴(约地球表面大气压的1.45倍)。着陆点光照亮度仅为地球晴天的千分之一,和地球上日落十分钟后的亮度差不多。着陆后,惠更斯号发回的图片甚至向我们展示了降落伞的影子随着伞飘落的变化过程。
虽然登陆点是一片陆地,但惠更斯号的最初设计是能够漂浮在液态烃海洋表面工作的。
卡西尼号任务即将终结 回望惠更斯号
直到今天,惠更斯号依旧沉寂在最初的着陆点。它在登陆后90分钟就停止了工作,完成使命。而母船卡西尼号至今仍在环绕土星的轨道上工作,并数次飞过土卫六上空。2017年,它将最后一次近距离飞掠土卫六,随后卡西尼号环绕土星的轨道高度将越来越低,直到9月15日坠入土星大气层,结束20年的太空飞行。
随着卡西尼号任务的即将终结,卡西尼号科学团队以及美国宇航局官员都在回顾惠更斯号任务的意义。
美国宇航局华盛顿总部、行星科学部主任吉姆-格林(Jim Green)称:“十二年前,一个‘小家伙’降落在这个橙色的、外太阳系的异星世界,这也是人类迄今实施过的最远距离的登陆。对土卫六的研究有助我们梳理出这颗小小异星世界的潜在宜居性,并更好地了解地球早期的化学过程。”
美国西南研究院、卡西尼号成像小组负责人卡罗琳-博克(Carolyn Porco)表示:“与(卡西尼号)在轨道上获取的被雾霾掩盖的土卫六图像不同的,惠更斯号发回的图像向我们展示了很多蜿蜒的地貌特征,我们认为这只可能是溪流或河道,并且我们有无可辩驳的证据证明在土卫六的某一时期,甚至就是现在,有液态烃形成的河流在这颗星球表面流动。惠更斯号发回的图像就像‘罗塞塔石碑’一样,帮助我们解释后来在土卫六上的诸多发现。”
美国康奈尔大学、卡西尼号雷达项目科学家艾利克斯-海耶斯(Alex Hayes)表示:“卡西尼号与惠更斯号向我们展示了土卫六这个令人惊叹的世界,这颗星球的很多景观与我们地球极其相似。在降落过程中,惠更斯号向我们展示了一个全新的视角,那里有如此之多未解之谜等着我们去发现。对我而言,惠更斯号是如此的重要,因为我们依靠它的探测成果继续探索土卫六。”
加州喷气推进实验室、卡西尼号项目科学家琳达-斯皮尔克(Linda Spilker)称:“惠更斯号降落与着陆的成功,是我们土卫六探测任务的重大突破,这也是人类首次在外太阳系行星的卫星上着陆。它彻底改变了我们对这个有着雾霾与海洋异星世界的认知。”

!评论内容需包含中文